Stammbaum des Lebens

Taxa

Bedienungsanleitung

Kollage Organismen
Navigation: Insecta/Coleoptera/Adephaga/Carabidae/Harpalinae
(in Arbeit)  Insekten/Käfer/Fleischfresser/Laufkäfer
home

UF Harpalinae Bonelli, 1810

     alle Gattungen (Welt)    Bilder: einheimische Arten

 

Tribus Anisodatylini Lacordaire, 1854

     Gattungen:

Schwarzer Schmuckläufer
Schwarzer Schmuckläufer
Anisodactylus binotatus,
KL 10 mm
Smaragd-Schnellläufer
Smaragd-Schnellläufer
Harpalus smaragdinus,
KL 9 mm
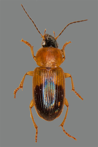
Metallfarbener Schnellläufer
Metallfarbener Schnellläufer
Harpalus aeneus,
KL 9,5 mm
Biotope

    Allendia, Allocinopus, Amphasia

    Anisodactylus, Anisostichus,

    Cenogmus, Chydaeus, Crasodyctylus,

    Criniventer, Diachromus, Dicheirus,

    Gaioxenus, Geopinus, Gnathophanus,

    Gymamdromorphus, Haplaner, Harpalomimetes,

    Hypharpax, Maoriharpalus, Nornalupia, Notiobia,

    Parabaris, Phanagnathus, Progonochaetus,

Tiere

    Pseudanisotarsus, Pseudognathaphanus,

    Pseudorhysopus, Rhysopus, Scybalicus,

    Triplosarus, Tuiharpalus, Xestonotus

 

Tribus Harpalini Bonelli, 1810

    Amblystomina Fauvel, 1889

     Gattungen: 

    Amblystomusus, Anomostomus, Barysomus, Oosoma

 

    Ditomina Bonelli, 1810

     Gattungen:

    Bottchrus, Bronislavia, Carenochyrus, Carterus, Chilotomus,

    Ditomus, Dixus, Eocarterus, Eucarterus, Graniger, Liochirus,

    Machozetus, Meroctenus, Odontocarus, Oedesis,

    Orthogenium, Pachycarus, Panagrius, Penthus,

    Phobophorus, Phorticosomus, Proditomus, Pseudaristus,

    Tschitscherinellus, Veradia, Xenophonus,

 

Harpalus aeneus
Metallfarbener Schnellläufer
Harpalus aeneus, KL 8 mm
Harpalus quadripunctatus
Harpalus quadripunctatus,
KL 10.5 mm
Harpalus fuscipalpis
Harpalus fuscipalpis,
KL 10 mm
Behäbiger Schnellläufer
Behäbiger Schnellläufer Harpalus tardus, KL 9 mm
Harpalus latus
Harpalus latus, KL 9 mm

Rotbeiniger Schnellläufer
Rotbeiniger Schnellläufer
Harpalus rubripes, KL 9 mm
Pflanzen

    Harpalina Bonelli, 1810

     Gattungen:

    Acinopus, Afromizonus, Allosiopelus, Amblygnathus,

    Anisocnemus, Athrostictus, Axinotoma, Aztecarpalus,

    Bleusea, Boeomimetes, Bradybaenus, Coleolissus,

    Cratacanthus, Cratognathus, Daptus, Dioryche, Discoderus,

    Dregus, Ectinothorax, Eriophonus, Euryderus, Geodromus,

    Harpalinus, Harpalobrachys, Harpalodiodes, Harpalomorphus,

    Harpalus, Harpathaumas, Harponixus, Hartonymus,

    Heteracantha, Hyphaereon, Indiophonus, Liodaptus,

Kulturen

    Microderes, Neoaulacoryssus, Neodiachipteryx, Neohyparpalus,

    Neophygas, Nesarparlus, Nipponoharpalus, Nothodaptus,

    Oesyperus, Omostropus, Ooidius, Ophoniscus, Ophonus,

    Oxycentrus, Pangus, Parasiopelus, Parophonus,

    Paulianoscirtus, Penthophonus, Phyrometus, Piosoma,

    Platymetopsis, Platymetopus, Prakasha, Pseudodiachipteryx,

    Pseudohyparpalus, Pseudoselenophorus, Selenophorus,

    Selenotichnus, Siopelus, Stenomorphus, Trichoselaphus,

    Trichotichnus, Trichoxycentrus, Typsiharpalus, Xenodochus

      

Harpalus winkleri
Harpalus winkleri,
KL 7 mm

Sand-Haarschnelläufer
Sand-Haarschnelläufer Ophonus signaticornis,
KL 6 mm
Stirnfurchenläufer
Stirnfurchenläufer
Trichotichnus laevicollis,
KL 7 mm
Artensterben

Tribus Pelmatellini Laporte, 1834

    Gattungen

    Hakaharpalus, Kupeharpalus, Lecanomerus,

zurück      
zum nächsthöheren Taxon

    Nemaglossa, Notospeophonus, Pelmatellus, Syllectus,

    Tachysarus

 

Tribus Stenolophini Kirby, 1837

     Gattungen:

    Acupalpus, Agonidus, Amerinus, Angionychus, Anthracus,

    Batoscelis, Bradycellus, Bradycidus, Cratosoma, Cyptomicrus, 

    Dicheirotrichus, Egadyla, Euthenarus, Goniocellus,

    Gugheorites,

Rotbart-Haarschnellläufer
Rotbart-Haarschnellläufer
Ophonus rufibarbis KL 8mm

Sammlung M. Hoffmann
Rundbauchläufer
Rundbauchläufer
Bradycellus csiki., KL 4 mm

Naturkundemuseum Leipzig
Bunter Schnellläufer
Bunter Schnellläufer
Stenolophus spec., KL 6 mm

Stadt Leipzig
Impressum

    Haplanister, Hemiaulax, Hippoloetis, Idiomelas, Kaffovatus,

    Kenyacus, Kiwiharpalus, Lioholus, Loxoncus, Pachytrachelus,

    Paramecus, Paregaploa, Pholeodytes, Pogonodaptus,

    Polpochila, Psychristus, Rhabdidius, Stenolophus,

    Tropicoritus, Uenanthracus

 

Copyright © Mathias Hoffmann 2014