Stammbaum des Lebens

Taxa

Bedienungsanleitung

Kollage Organismen
Navigation:  Insecta/Coleoptera/Polyphaga/Cucjiformia/Cleroidea
 (in Arbeit)   Insekten/Käfer/...................../Plattkäferähnliche/Buntkäferartige
home

Überfamilie Cleroidea Latreille, 1802

                                            - Buntkäferähnliche

    ca. 10.000 Arten weltweit 

    Liste der Familien und Unterfamilien weltweit

 

Familie Acanthocnemidae Crowson, 1964

      eine Art: Acanthocnemus nigricans

 

Familie Chaetosomatidae Crowson, 1952

      3 Gattungen, 11 Arten 

 

Buntkäfer
Ameisenbuntkäfer Thanasimus
formicarius
, KL mm,
Familie Cleridae, UF Clerinae
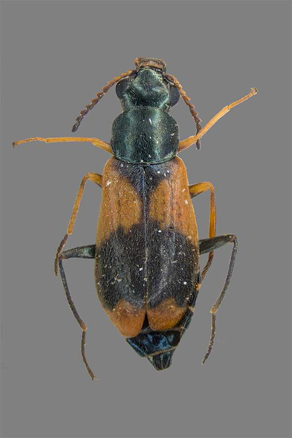
Opilo mollis
Opilo mollis,
KL 10mm,
Familie Cleridae, UF Clerinae
Biotope

Familie Cleridae Latreille, 1802 - Buntkäfer

       etwa 200 Gattungen und 3.400 Arten

  UF Clerinae Latreille, 1802 - Buntkäfer s.s.   

       42 Gattungen: Allonyx, Aphelocerus, Aphelocroa, Aulicus, Balcus,

       Calendyma, Caridopus, Clerus, Colyphus, Corynommadius,

       Dologenitus, Dozocolletus, Enoclerus, Epiclines, Erymantus,

       Evenoclerus, Gyponyx, Jenjouristia, Kanaliella, Languropilus,

       Menieroclerus, Neorthrius, Nonalatus, Ohanlonella, Omadius,

       Opilio, Orthrius, Perilypus, Phöoiocopus, Pieleus, Placopterus,

       Priocera, Pseudoastigmus, Sedlacekvia, Stigmatium, Thanasimodes,

       Thanasimus, Tillicera, Trichodes, Wilsonoclerus, Xenorthrius,

       Zenithicola

Tiere

   UF Enopliinae Cistel, 1856

        Gattungen: Apolopha, Apteropilio, Corinthiscus, Curacavi, Enoplium,

       Exochonotus, Lasiodera, Neopylus, Neorthopleura, Parapelonides,

       Pelonides, Phymatophaea, Platynoptera, Pseudicnea, Pylus,

       Pyticara, Tenerus  

   UF Epiclininae

  

   UF Epiphloeinae Gistel, 1856 

        Gattungen: Acanthocollum, Amboakis, Decaphloeus, Decorosa,

       Diapromeces, Ellipotoma, Epiphloeus, Hapsodopteris, Ichnea,

       Iontoclerus, Katamyurus, Madoniella, Megaphloeus, Megatrachys,

       Neichnea, Opitzia, Opitzius, Parvochaetus, Pennasolis, Pericales,

       Phlogistosternus, Pilosirus, Plocamocera, Pteroferus, Pytceroides,

       Silveirasia, Stegnoclava, Turbophloeus        

Korynetes
Korynetes coerulens, KL 6mm,
Familie Cleridae, UF Korinetinae

Anthocomus bipunctatus
Anthocomus bipunctatus, KL 4mm,
Familie Melyridae, UF Malachiinae


Malachius rubidus
Malachius rubidus, KL 6,5mm,
Familie Melyridae, UF Malachiinae


dae
Ebaeus thoracarius
Ebaeus thoracarius, KL 3mm,
Familie Melyridae, UF Malachiinae


m

k
Pflanzen

    UF Hydnocerinae Spinola, 1844

        etwa 70 Arten, 3 Gattungen: Isohydnocera, Phyllobaenus,

       Wolcottia 

   UF Korynetinae Laporte, 1836

        Gattungen: Aberrokorynetes, Anthriboclerus, Apopylus, Corynetinus,

       Crobenia, Dolichopsis, Falsocorynetes, Incorynetes, Korynetes,

       Lebasiella, Lesneoclerus, Loedelia, Necrobia, Necrobinus, Notostenus,

       Opetiopalpus, Pallenothriocera, Parapylus, Prosymnus, Pylus,

       Romanaeclerus, Solervicensia, Tarsostenosis, Thriocera,

       Thriocerodes

   UF Neorthopleurinae

       Gattungen: Allochotes, Platytenerus         

   UF Peloniinae Opitz, 2010

        Gattungen: Akonesis, Ambitus, Amphelissus, Ampleris, Antennactis,

       Antennosus, Apolopha, Australoclerus, Boschella, Chariessa,

       Corinthiscus, Cornimolossus, Cregya, Crusbatus, Diutius, Enoplioides,

       Eriviriosus, Falsoeurymanthus, Gnidmus, Goyasanum, Hautenerus,

       Inconnexus, Isoparis, Katocompsus, Labasiella, Lasiodora,

       Macilentus, Merickelus, Muisca, Neotenerus, Oncochelyna, Pelmatus,

       Pelonium, Phymatophaea, Pichincha, Pseudichnea, Pujoliclerus,

       Pyticeropsis, Ramosus, Salarium, Silvanoclerus, Sirpa, Stenoplium,

       Tanycorpus, Thomasius, Troxoides  

Kulturen

  UF Tarsosteninae Jacquelin Du Val, 1861

        Gattungen: Paratillus, Tarsostenus

   UF Tillinae Leach, 1815

        Gattungen: Araeodontia, Bogcia, Bostrichoclerus, Callotillus,

       Cymatodera, Cymatoderella, Denops, Diplocladus, Falsoorthrius,

       Gastrocentrum, Isocymatodera, Lecontella, Mimorthrius,

       Monophylla, Neocallotillus, Pallenis, Philocalus, Spinoza, Strotocera,

       Tillus, Tilloidea,

Familie Mauroniscidae

       Gattungen: Amecomycter, Mauroniscus, Mecomycter, Mectemycor,

      Scuromanius 

 

Artensterben

Familie Melyridae Leach, 1815

   UF Dasytinae Laporte, 1840

    Triben: Chaetomalachiini, Danaceini, Dasytini,

     Gietellini, Listrini  

   UF Malachiinae Leach, 1817

     Triben: Amalthocini, Apalochrini, Attalomimini,

     Carphurini, Colotini, Lemphini, Malachiini,

     Pagurodactylini 

   UF Melyrinae  Leach, 1815

    Triben: Arthrobrachini, Astylini, Cerallini, Melyrini,

   UF Rhadalinae LeConte, 1862

      Gattungen: Aplocnemus, Dasyrhadus, Eucymbolus, Flavojulistus,

      Indiodasytes, Jelenekius, Microjulistus, Rhadalus, Semijulistus,    

 

zurück      
zum nächsthöheren Taxon

Familie Metaxinidae Kolibac, 2004

      eine Art: Metaxina ornata Broun, 1909

   

Familie Phloiophilidae Kiesenwetter, 1863

      eine Art: Phloiophilus edwardsi

 

Familie Phycosecidae Crowson, 1952
     Gattung Phycosecis: 4 Arten
   

Familie Prionoceridae Lacordaire, 1857
     3 Gattungen, ca. 150 Arten
     Gattungen: Idgia, Lobonyx, Prionocerus
 
s s
Impressum

Familie Thanerocleridae Chapin, 1921

  UF Thaneroclerinae Chapin, 1924

       Gattungen: Cleridopsis, Compactoclerus, Cyrtinoclerus, Isoclerus,

      Meprinogenus, Neoclerus, Thaneroclerus, Viticlerus

   UF Zenodosinae Kolibac, 1992

       Gattung Zenodosus

   

Familie Trogossitinae Latreille, 1802

     49 Gattungen, etwa 600 Arten

   UF Lophocaterinae Crowson, 1964

    Triben: Ancyronini, Decamerini, Lophocaterini 

   UF Peltinae Kirby, 1837

    Triben: Colydiopeltini, Peltini, Thymalini,

  UF Trogossitinae Latreille, 1802

   Triben: Calityini, Egoliini, Gymnochilini, Larinotini,

   Trogossitini 

 

Systematik nach:

Copyright © Mathias Hoffmann 2019