Stammbaum des Lebens

Taxa

Bedienungsanleitung

Kollage Organismen
Navigation:  Insecta/Coleoptera/Polyphaga/Cucujiformia/Cucujoidea
 (in Arbeit)        Insekten/Käfer/..................../
home

Überfamilie Cucujoidea

 

Liste aller Familien, Unterfamilien und Triben weltweit

 

Familie Agapythidae Sen Gupta & Crowson, 1969

       Gattung: Agapytho 

Familie Akalyptoischion Lord et. al.; 2010

       Gattung: Akalyptoischion 

Familie Alexiidae Imhoff, 1856

       Gattung: Sphaerosoma

M
Biotope

Familie Biphyllidae LeConte, 1861

         Gattungen: Althaesia, Anchorius, Biphyllus, Diplocoelus,

        Euderopus, Gonicoelus 

 

Familie Boganiidae Sen Gupta & Crowson, 1966

  UF Boganinae Sen Gupta & Crowson, 1966

         Gattungen: Afroboganium, Boganium 

  UF Paracucujinae Endrödy-Younga & Crowson, 1986

     Tribus Athertoniini 

         Gattung: Athertonium 

     Tribus Paracucujus

         Gattungen: Metacucujus, Paracucujus

 

Familie Bothrideridae Erichson, 1845

  UF Anommatinae

         Gattungen: Abromus, Anommatus, Kocherius

  UF Bothriderinae

         Tribus Bothriderini, Tribus Deretaphrini 

  UF Teredinae

         Tribus Sosylopsini, Tribus Sysolini, Tribus Teredini 

  UF Xylariophilinae Pal & Lawrence, 1986

         Gattung: Xylariophilus 

 

Familie Byturidae Jacquelin du Val, 1858

  UF Byturinae Jacquelin du Val, 1858

        Gattungen: Byturus, Haematoides, Xerasia

  UF Platydascillinae Pic, 1914

        Gattungen: Bispinatus, Dascillocyphon, Platydascillus, Remigera 

Tiere

Familie Cavognathidae Sen Gupta & Crowson, 1969

        Gattung: Taphropiestes   

 

Familie Cerylonidae Billberg, 1820

  UF Ceryloninae Billberg, 1820

       39 Gattungen

  UF Euxestinae

        Gattungen: Cycloxenus, Ectomicrus, Euxestoxenus, Euxestus,

       Globoeuxestus, Hypodacne, Hypodacnella, Metacerylon, Metaxestus,

       Protoxestus 

  UF Loeblioryloninae

        Gattung: Loebliorylon

  UF Murmidiinae

       Gattungen: Botrodus, Murmidius, Mychocerinus

  UF Ostomopsinae

       Gattung: Ostomopsis

 

Fam. Coccinellidae Latreille,-  1807 Marienkäfer   Foto

  UF Coccinellinae Latreille, 1807

       Triben: Coccidulini,Chilocorini Foto, Coccinellini Foto, Diomini,

       Epilochnini, Noviini, Scymnillini, Sticholotidini, Telsimiini

  UF Microweiseinae Leng, 1920

       Triben: Carinodulini, Microweiseini, Serangiini 

 

Familie Corylophidae LeConte, 1852

  UF Corylophinae LeConte, 1852

       Triben: Aenigmaticini, Cleidostehini, Corylophini,

       Foadiini, Orthoperini, Parmulini, Peltinodini, Sericoderini,

       Rypobiini, Stanini, Teplinini 

  UF Periptyctinae Slipinski, Lawrence & Tomaszewska, 2001

        Gattungen: Pakalukodes, Periptyctus, Weirus 

Marienkäferlarve am Bienitz, Leipzig-Rückmarsdorf
Marienkäferlarve am Bienitz, Leipzig-Rückmarsdorf, Sachsen, 5. 8. 2016
Familie Coccinellidae,

Psyllobora vigintiduopunctata
Psyllobora vigintiduopunctata, KL mm, Familie Coccinellidae,
UF Coccinellinae, Tribus Chilocorini

Asiatischer Marienkäfer Harmonia axyridis
Asiatischer Marienkäfer Harmonia axyridis,

Stäublingskäfer unter Pilz am Gungung Singgalang
Stäublingskäfer unter Pilz am Gungung Singgalang, West-Sumatra, Indonesien, 2003,
Familie Endomychidae


Enicmus minutus
Enicmus minutus, KL 1,8mm, Familie Latriidae


Hippodamia tredecimpunctata
Dreizehnpunkt-Marienkäfer Hippodamia tredecimpunctata, Bad Schmiedeberg,
Sachsen-Anhalt, IX. 2018
Familie Coccinellidae, UF Coccinellinae

Vierfleckiger Kugelmarienkäfer Exochomus quadripustulatus
Vierfleckiger Kugelmarienkäfer
Exochomus quadripustulatus
, m
enExk

Coccinella conglobata
Marienkäfer
Oenopia conglobata,

ÜF Cucujoidea, Coccinellidae

Tritoma bipustulata
Rotfleckiger Faulholzkäfer Tritoma bipustulata, KL 3,5mm

Pflanzen

Familie Cryptophagidae Kirby, 1826

  UF Atomariinae LeConte, 1852

       Triben: Atomariini, Cryptaafricini, Hypocoprini 

  UF Cryptophaginae Kirby, 1826

       Triben: Caenoscelini, Cryptophagini, Picrotini 

 

Familie Cucujidae Latreille, 1802

        Gattung: Cucujus, Palaestes, Pediacus, Platisus 

 

Familie Cybocephalidae Jacquelin du Val, 1858

        Gattungen: Cybocephalus, Endrodiellus, Hierronius, Horadion,

       Pastillodes, Pstillus, Pycnocephalus, Taxicephomerus

 

Fam. Cyclaxyridae Gimmel, Leschen & Slipinski, 2009

        Gattung: Cyclaxyra 

 

Kulturen Familie Discolomatidae
  UF Aphanocephalinae
        Gattungen: Aphanocephalus, Fallia, Parafallia, Profallia, Solitarius
  UF Cephalophaninae
        Gattung: Cephalophanus
  UF Discolomatinae
        Gattungen: Cassodoloma, Discoloma
  UF Notiophyginae
        Gattungen: Dystheamon, Holophygus, Notiophygus, Pachyplacus,
        Parmaschema, Praviclava

  UF Pondonatinae
        Gattungen: Katoporus, Pondonatus

Fam. Endomychidae Leach, 1815  Stäublingskäfer  Foto

  UF Anamorphinae Strohecker, 1953
        Gattungen: Aclemmysa, Acritosoma, Bystus, Catapotia,
        Clemmus, Dexialia, Exysma, Micropsephodes, Micropsephus,
        Mychothenus, Rhymbomicrus, Symbiotes,

  UF Danascelinae
        Gattungen: Danascelis, Hadromychus
  UF Endomychinae Leach, 1815
        Gattungen: Cyclotoma, Endomychus, Meilichus
  UF Epipocinae
        Gattungen: Anidrytus, Danae, Ephebus, Epipocus,
        Epopterus, Rhymbus, Stenotrsoides

  UF Eupsilobiinae
        Gattungen: Eidoreus, Evolocera, Microxenus, Natalinus
  UF Leiestinae C.G. Thomson, 1863
        Gattung: Leiestes
  UF Lycoperdininae Redtenbacher, 1844
        44 Gattungen
  UF Merophysiinae Seidlitz, 1872
        Gattungen: Holoparamecus, Lycoperdinella, Rueckeria
  UF Mycetaeinae
        Gattung: Mycetaea 
  UF Pleganophorinae
        Gattungen: Dadocerus, Pleganophorus, Trochoideus
  UF Stenotarsinae
        Gattungen: Ectomychus, Stenotarsus

Familie Erotylidae Latreille, 1802

  UF Cryptophilinae
     Triben: Cryptophilini, Empocryptini, Toramini
  UF Erotylinae
     Triben: Dacnini, Encaustini, Erotylini,
     Megalodacnini,
Tritomini Foto
  UF Languriinae
     Triben: Hapalipini, Languriini, Thallisellini
  UF Loberinae
        Gattungen: Fitoa, Loberus, Loberolus, Paphezia, Stenodina,
        Telmatoscius

  UF Pharaxonothinae Crowson,
        Gattungen: Cycadophila, Henoticonus, Leucohimatium,
  UF Xenoscelinae
        Gattungen: Arrowcryptus, Loberonotha, Macrophagus, Othniocryptus,
        Protoloberus, Xenocryptus, Xenoscelis, Zavalju

Familie Helotidae Reitter & Chapuis, 1876
Artensterben

Familie Hobartiidae Sen Gupta & Crowson, 1966

        Gattungen: Hobartius, Hydnobioides 

 

Familie Kateretidae Erichson, 1845

        Gattungen: Amartus, Anamartus, Anthonaeus, Boreades, Brachyleptus,

        Brachypterolus, Brachypterus, Cercometes, Heterhelus, Kateretes,

        Neobrachypterus, Sibirhelus 

 

Familie Laemophloeidae Ganglbauer, 1899

        26 Gattungen 

 

Familie Lamingtoniidae Sen Gupta & Crowson, 1969

        Gattung: Lamingtonium 

 

Familie Latridiidae Erichson, 1842

  UF Corticariinae

        Gattungen: Austrophthalma, Bicava, Corticaria, Corticarina, Corticaromus,

        Cortinicara, Fuchsina, Melanophtalma, Migneauxia, Paracaria, Rethusus 

  UF Latridiinae Erichson, 1842

        Gattungen: Adistemia, Akalyptoischion, Besuchetia, Cartodera, Dicastria,

        Dienerella, Enicmus Foto, Euchionellus, Eufallia, Eufalloides, Herfordia,

        Latridius, Lithostygnus, Metophthalmoides, Metophthalmus, Mumfordia,

        Nalpaumia, Reveliera, Stephostethus, Thes 

 

zurück      
zum nächsthöheren Taxon
Familie Monotomidae Laporte, 1840
  UF Monotominae Laporte, 1840
      Triben: Europini, Lenacini, Monotomini, Thionini
  UF Rhizophaginae Redtenbacher, 1845
        Gattung: Rhizophagus Foto

Familie Myraboliidae
        Gattung: Myrabolia

Familie Nitidulidae Latreille, 1802 - Glanzkäfer
  UF Amphicrossinae
        Gattung: Amphicrossus
  UF Calonecrinae Kirejtshuk, 1982
        Gattung: Calonecrus
  UF Carpophilinae Erichson, 1842
        Gattungen: Carpophilus, Ctilodes, Procarpophilus, Loriarulus, Nitops,
        Urophorus, Vulpixenus

  UF Cillaeinae Kirejtshuk & Audisio, 1986
        26 Gattungen
  UF Cryptarchinae C. G. Thomson, 1859
      Triben: Arhinini, Cryptarchini, Eucalosphaerini, Platyarchini
  UF Epuraeini
      Triben: Epuraeini, Taenioncini
  UF Maynipeplinae Kirejtshuk, 1998
        Gattung: Maynipeplus
  UF Meligethinae Thomson, 1859
        44 Gattungen
  UF Nitidulinae Latreille, 1802
      Triben: Cychramini, Cychramptodini, Cyllodini,
      Lawrencerosini, Mystropini, Nitidulini


Familie Passandridae
       Gattungen: Ancistria, Aulonosoma, Catogenus, Nicolebertia, Passandra,
       Passandrella, Passandrina, Prionophora, Scalidiopsis, Taphroscelidia

Familie Phalacridae Leach, 1815
       34 Gattungen

Familie Phloeostichidae Reitter, 1911
       Gattungen: Bunyastichus, Hymaea, Phloeostichus, Rhopalobrachium

Familie Priasilphidae Crowson, 1973
       Gattungen: Chileosilpha, Priasilpha, Priastichus
Rhizophagus dispar
Rhizophagus dispar, KL 3,6mm,
Familie Monotomidae

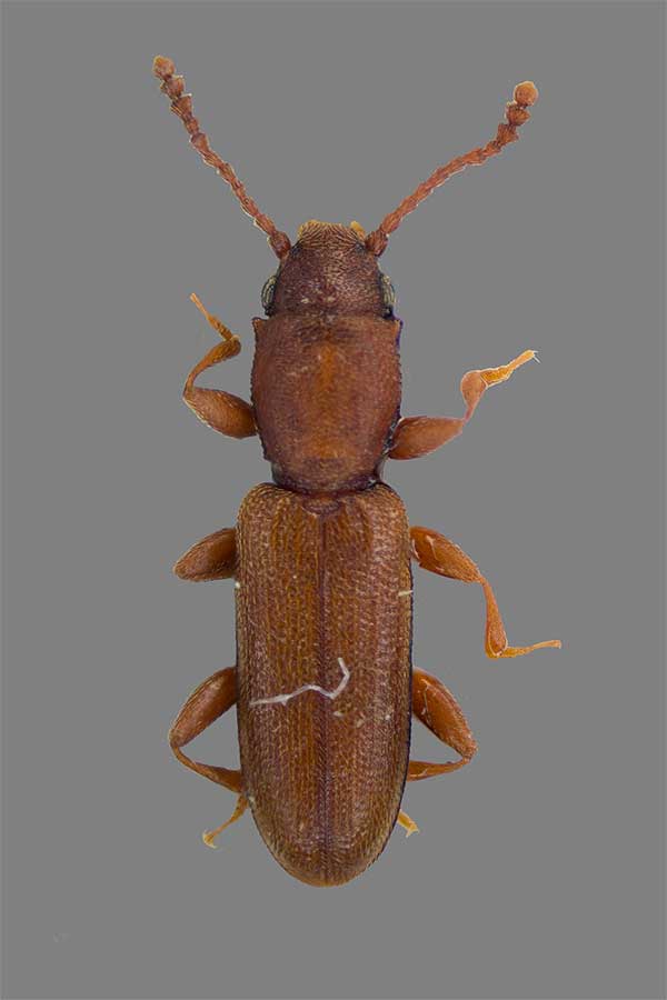
Langhörniger Raubplattkäfer Uleiota plana
Langhörniger Raubplattkäfer
Uleiota plana, KL 5,5mm,
Familie Silvanidae, UF Silvaninae


s
Rhizophagus ferrugineus
Rhizophagus ferrugineus, KL 3mm,
Familie Monotomidae

Silvanus unidentatus
Silvanus unidentatus, KL 2,5mm,
Familie Silvanidae, UF Silvaninae


n
Impressum

Familie Propalticidae Crowson, 1952

       Gattungen: Propalticus, Slipinskogenia

 

Familie Protocucujidae Crowson, 1954

       Gattung: Ericmodes

 

Familie Silvanidae Kirby, 1837

  UF Brontinae Erichson, 1845

       Triben: Brontini, Telephanini 

  UF Silvaninae Kirby, 1837

        38 Gattungen

 

Familie Smicripidae Horn, 1879

        Gattung: Smicrips 

 

Familie Sphindidae Jacquelin du Val, 1858

  UF Odontosphindinae Sen Gupta & Crowson, 1979

        Gattung: Odontosphindus 

  UF Protosphindinae Sen Gupta & Crowson, 1979

  UF Sphindinae Jacquelin du Val, 1858

        Gattungen: Aspidiphorus, Carinisphindus, Eurysphindus, Genisphindus,

        Notosphindus, Sphindus 

  UF Sphindiphorinae Sen Gupta & Crowson, 1979

        Gattung: Sphindiphorus 

 

Fam. Tasmosalpingidae Lawrence & Britton, 1971

       Gattung: Tasmosalpingus 

 

Systematik nach:

Hunt, T.; Bergsten, J.; Levkanicova, Z.; Papadopoulou, A.; St. John, O.; Wild, R.; Hammond, P.M.; Ahrens, D.; Balke, M.; Caterino, M.S.; Gomez-Zurita, J.; Ribera, I.; Barraclough, T.G.; Bocakova, M.; Bocak, L.; Vogler, A.P. 2007

Copyright © Mathias Hoffmann 2019