Stammbaum des Lebens

Taxa

Bedienungsanleitung

Kollage Organismen
Navigation: Arthropoda/Tracheata/Insecta/Coleoptera/Polyphaga/Elateriformia/Elateroidea
 (in Arbeit)  Gliederfüsser/............/Insekten/Käfer/............../Schnellkäferähnliche/Schnellkäferartige
home

Überfamilie Elateroidea Leach, 1815

                                          - Schnellkäferartige 

 

Liste aller Familien und Unterfamilien weltweit

 

Familie Artematopodidae Lacordaire, 1857

  Unterfamilie Allopogoniinae Crowson, 1973

       Gattung: Allopogonia 

   Unterfamilie Artematopodinae Lacordaire, 1857

       Gattungen: Artematopus, Brevipogon, Carcinognathus, 

       Ctesibius, Eurypogon, Macropogon

   Unterfamilie Electribiinae Crowson, 1975

       Gattung: Electribius 

 

Familie Brachypsectridae Leconte & Horn, 1883

      eine Gattung, 6 Arten


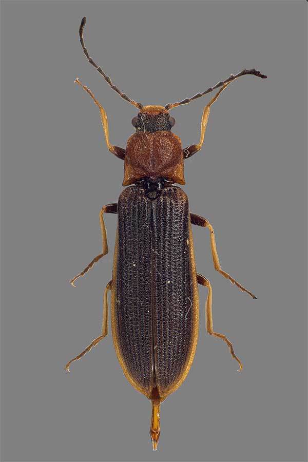
Rhagonycha lignosa
Weichkäfer Rhagonycha lignosa, KL 7mm,
Elk, Masuren, Polen, 1998
UF Cantharinae, Tribus Cantharini

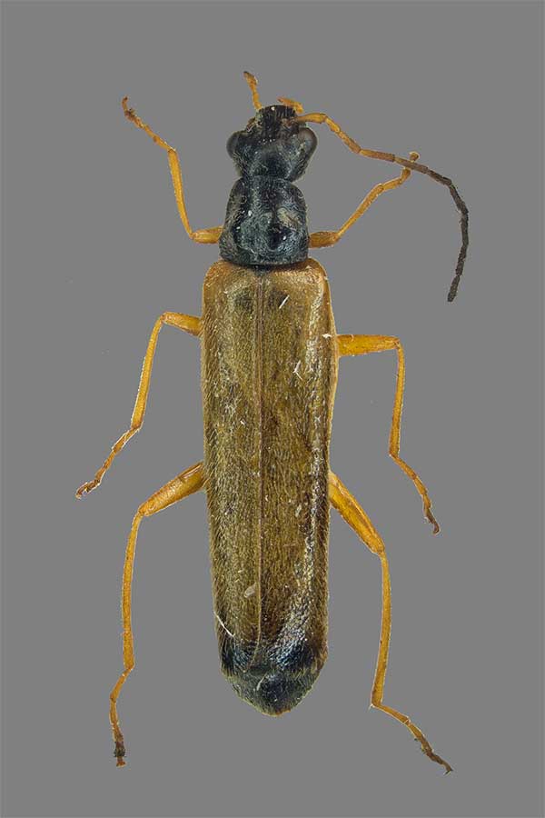
Malthinus biguttatus
Weichkäfer Malthodes spec., KL 4mm,
Hachemühle, Dübener Heide, 20.7.1978,
UF Cantharinae, Tribus Cantharini
Kopula Weichkäfer Cantharis spec.
Kopula Weichkäfer Cantharis rustica,
bei Maua, Thüringen, 2015,
UF Cantharinae, Tribus Cantharini

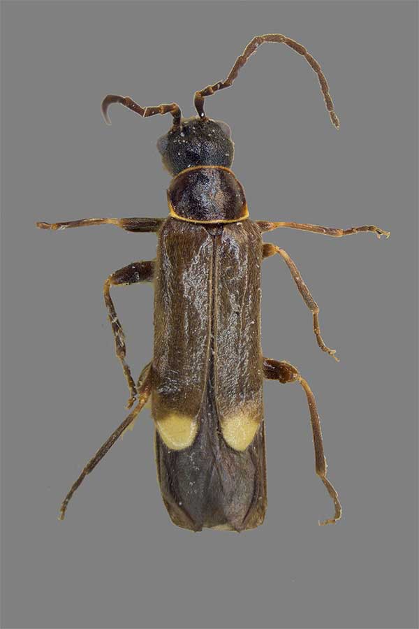
Weichkäfer Rhagonycha spec.
Weichkäfer Rhagonycha fulva, Möhritzsch, Sachsen-Anhalt, 2014, Familie Cantharidae, UF Cantharinae, Tribus Cantharini
Biotope

Familie Cantharidae Imhoff, 1856 - Weichkäfer

   Unterfamilie Cantharinae Imhoff, 1856

    Tribus Cantharini Imhoff, 1856

       Gattungen: Ancistronycha, Armidia, Atalantycha, Athemus,  

       Boveycantharis, Cantharis, Cantharomorphus, Cordicantharis,

       Cratosilis, Cultellunguis, Cyrtomoptera, Metacantharis,

       Occathemus, Pacificanthia, Pakabsidia, Podistra,

       Rhagonycha, Rhaxonycha, Sinometa, Taiwanocantharis,

       Themus

    Tribus Podabrini LeConte, 1881

        Gattungen: Asiopodabrus, Dichelotarsus, Hatchiana,

       Micropodabrus, Podabrus 

  Unterfamilie Chauliognathinae LeConte, 1861

    Tribus Chauliognathini  LeConte, 1861

        Gattungen: Belotus, Chauliognathus  

     Tribus Ichtyurini Champion, 1915

        Gattungen: Ichtyurus, Trypherus 

   Unterfamilie Dysmorphocerinae Brancucci, 1980

        Gattungen: Afronycha, Asilis, Compsonycha, Dysmorphocerus,

        Flabelloontelus, Geygiella, Hansasilis, Heteromastix,

        Hyponotum, Micronotum, Neoontelus, Oontelus,

        Plectocephalon, (Plectonotum)

Tiere

   Unterfamilie Malthininae Kiesenwetter, 1852

    Tribus Malchininae

        Gattungen: Macrocerus, Malchinus

    Tribus Malthinini

        Gattungen: Caccodes, Malthinus

    Tribus Malthodini Boeving & Craighead, 1930

        Gattungen: Frostia, Malthodes 

   Unterfamilie Silinae

    Tribus Silini Mulsant, 1862

        Gattungen: Discodon, Ditemnus, Markus,

        Plectonotum, Podosilis, Polemius, Silis 

    Tribus Tytthonyxini

         Gattung: Tytthonyx 

 

Anostirus purpureus
Anostirus purpureus, KL 10,5mm,
Familie Elateridae, UF Dendrometrinae

Athous vittatus
Athous vittatus, KL 10mm,
Familie Elateridae, UF Athoinae
Denticollis linearis
Denticollis linearis, KL 11,5mm,
Familie Elateridae, UF Dendrometrinae

Ampedus balteatus
Ampedus balteatus, KL 8,5mm,
Familie Elateridae, UF Elaterinae
Pflanzen

Familie Cerophytidae Latreille, 1834

        4 Gattungen, 22 Arten, Gattungen: Afrocerophytum, Brachycerophytum,

        Cerophytum, Phytocerum 

 

Familie Elateridae Leach, 1815 - Schnellkäfer

    18 Unterfamilien, ca. 10.0000 Arten

     Unterfamilien: Argypninae, Athoinae, Campyloxeninae,

     Cardiophorinae, Cebrioninae, Dendrometrinae,

     Elaterinae, Eudicronychinae, Hemiopinae,

     Lissominae, Morostomatinae, Negastriinae,

     Oxynopterinae, Physodactylinae, Pityobiinae,

     Semiotinae, Subprotelaterinae, Tetralobinae,

     Thylacosterninae 

 

Familie Eucnemidae Eschholtz, 1829

    9 Unterfamilien, ca. 1.700 Arten

    Unterfamilien: Anischiinae, Eucneminae,

     Macraulacinae, Melasinae, Palaeoxinae,

     Perothopinae, Phlegoninae, Phyllocerinae,

     Pseudomeninae

 

Familie Lampyridae Latreille, 1817 - Glühwürmchen

   Unterfamilie Cyphonocerinae Crowson, 1972

    Unterfamilie Lampyrinae Latreille, 1817 

     über 2.000 Arten, 5 Triben: Cratomorphini, Lamprocerini,

      Lampyrini, Photinini, Pleotomini

    Unterfamilie Luciolinae 

    Unterfamilie Photurinae

 

Kulturen

Familie Lycidae Laporte de Castelnau, 1840

       97 Gattungen, etwa 3.000 Arten 

    Unterfamilie Ateliinae Latreille

    Unterfamilie Dexorinae Bocak & Bocakova, 1989

    Unterfamilie Dictyopterinae

     2 Triben: Dexorini, Leptolycini 

    Unterfamilie Leptolycinae 

    Unterfamilie Libnetinae

    Unterfamilie Lycinae Castelnau, 1840

     7 Triben: Calochromini, Calopterini, Lycini,

      Lyponini, Macrolycini, Metriorrhynchini, Platerodini

    Unterfamilie Lyropaeinae Bocak & Bocakova, 1989

     5 Triben: Alyculini, Antennolycini, Lyropaeini,

      Miniduliticolini, Platerodrilini

 

Glühwürmchen Männchen
Leuchtkäfer/Glühwürmchen Männchen,
Familie Lampyridae, UF Lampyrinae

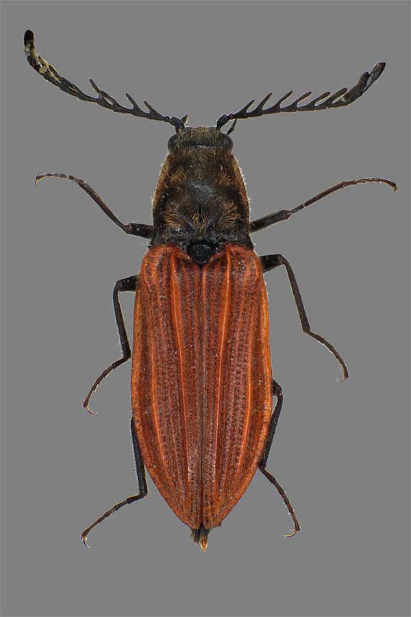
Rotdeckenkäfer in Äthiopien
Rotdeckenkäfer
Arba Minch, Äthiopien, 2010
Familie Lycidae
Glühwürmchen Weibchen
Leuchtkäfer/Glühwürmchen Weibchen, Familie Lampyridae, UF Lampyrinae

Trilobot-Käfer am Mount Kinabalu, Borneo
Video Trilobot-Käfer Duliticola spec. am Mount Kinabalu, Borneo, 2008,
Familie Lycidae
Artensterben

Familie Omalisidae Lacordare, 1857

      Gattungen: Euanoma, Omalisus, Phaeopterus,

       Pseudeuanoma, Thilmanus 

 

Familie Omethidae LeConte, 1861

    Unterfamilie Driloniinae

       Gattung: Drilonius

    Unterfamilie Matheteinae  LeConte, 1881

       Gattungen: Ginglymocladus, Matheteus

    Unterfamilie Omethinae  LeConte, 1861

        Gattungen: Blatchleya, Malthomethes, Omethes,

       Symphomethes, Troglomethes

 

Familie Phengodidae  LeConte, 1861 

    Unterfamilie Mastinocerinae

        26 Gattungen

    Unterfamilie Penicillophorinae

    Unterfamilie Phengodinae  LeConte, 1861

zurück      
zum nächsthöheren Taxon
Familie Plastoceridae Crowson, 1972
   Gattung: Plastocerus

Familie Rhagophtalmidae
      9 Gattungen: Cydistus, Dioptoma, Diplocladon, Dodecatoma,
      Falsophrixothrix, Menghuoius, Mimochotyra,
      Pseudothilmanus, Rhagophthalmus

Familie Rhinorhipidae
Lawrence, 1988
      Gattung: Rhinorhipus
Rotdeckenkäfer
Rotdeckenkäfer Lygistopterus sanguineus,
Familie Lycidae


o


o
Impressum Familie Telegeusidae Leng, 1920
     Gattungen: Pseudokarumia, Pseudotelegeusis,
     Telegeusis

 
Familie Throscidae Laporte, 1840

     Gattungen: Aulonothroscus, Cryptophthalma,
     actopus, Potergus, Trixagus


Systematik nach:
Lawrence, J.F.; Beutel, R.G.; Leschen, R.A.B.; Slipinski, A.,
2010

Copyright © Mathias Hoffmann 2019