Stammbaum Organismen

Taxa   

Bedienungsanleitung

Kollage Heteroptera
Navigation:  Arthropoda/Tracheata/Insecta/Hemiptera/Heteroptera/Nepomorpha
(in Arbeit)     Gliederfüsser/............/Insekten/Schnabelkerfe/Wanzen/Wasserwanzen
home TO Nepomorpha - Wasserwanzen

ÜF Nepoidea
Riesenwasserwanze
Riesenwasserwanze
West-Papua, Indonesien, 1999

Biotope   Fam. Belastomatidae Leach, 1815 - Riesenwanzen
   UF Belastomatinae

      9 Gattungen 
   UF Lethocerinae
      3 Gattungen
   UF Horvathiniinar
      Gattung Horvathinia
Tiere   Fam. Nepidae - Skorpionswanzen 
   UF Ranatrinae
      4 Gattungen

   UF Nepinae
 
   10 Gattungen
Wasserskorpion Nepa cinerea
Wasserskorpion Nepa cinerea, KL 18 mm, Familie Nepidae
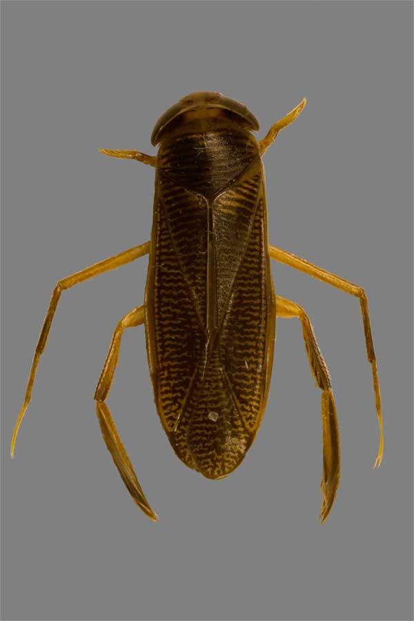
Ruderwanze, Corixa spec.
Ruderwanze, Corixa spec., KL 8 mm,
Familie Corixidae, Sammlung M. Hoffmann
Pflanzen ÜF Corixoidea
  Fam. Corixidae
      6 Unterfamilien   33 Gattungen   ca. 500 Arten
Kulturen ÜF Ochteroidea
  Fam. Gelastocoridae, etwa 100 Arten
  Fam. Ochteridae
, ca. 25 Arten

 
Artensterben
ÜF Aphelocheiroidea
  Fam. Aphelocheiridae - Grundwanzen
  Fam. Potamocoridae   
2 Gattungen

zurück      
zum nächsthöheren Taxon
ÜF Naucoroidea
  Fam. Naucoridae - Schwimmwanzen
      5 Unterfamilien, 40 Gattungen, 395 Arten

 
Impressum ÜF Notonectoidea
  Fam. Notonectidae - Rückenschwimmer
       8 Gattungen

ÜF Pleoidea
  Fam. Helotrephidae
      3 Unterfamilien  5 Gattungen
  Fam. Pleidae - Zwergrückenschwimmer
      3 Gattungen, 37 Arten

Copyright © Mathias Hoffmann 2014